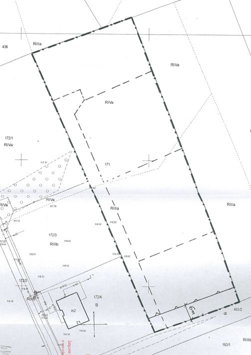
Oferujemy na sprzedaż działkę budowlaną o powierzchni 4643m2 z wydanymi warunkami zabudowy na 4 budynki mieszkalne.
Działka ta stanowi znakomitą propozycję dla inwestorów. Niezadrzewiona, płaska i prostokątna.
Warunki zabudowy przewidują 4 domy jednorodzinne wolnostojące wraz z infrastrukturą techniczną i drogą wewnętrzną.
- Elewacja frontowa - 14m z tolerancją do 20%
- Wysokość budynku - do 8,5m
- Dach stromy dwuspadowy
- Do 30% dachu płaskiego
- Minimalna powierzchnia biologiczna - 40%
Media: woda, gaz oraz prąd dostępne na sąsiadujących działkach.
Lokalizacja: Działka położona w dzielnicy Racula. Niedaleko drogi S3. W bliskiej odległości znajduje się szkoła, przedszkole i sklepy.
Firma APARTAMENT NIERUCHOMOŚCI pomaga w uzyskaniu kredytów bankowych, na zakup mieszkań, domów, działek itp.
Agent prowadzący:
Marta Hozakowska
TEL. 665 778 799
EMAIL: marta.hozakowska@apartament.net.pl
Apartament Nieruchomości świadczy usługi w zakresie sprzedaży i wynajmu domów, mieszkań, działek na terenie Zielonej Góry i okolic od 1999 r. Sprawnie przeprowadzamy transakcje łączone, regulujemy stany prawne nieruchomości, organizujemy kredyty na zakup nieruchomości.
Zlecenie realizowane pod nadzorem licencjonowanego pośrednika nr licencji 1717.
Poniższa oferta ma charakter informacyjny, nie stanowi oferty handlowej w rozumieniu art. 66 (1) kodeksu cywilnego oraz innych właściwych przepisów prawnych.
Oferta nr 153210301 wysłana z systemu LocumNet Online




